Serviceland BASF Agricultural Solutions

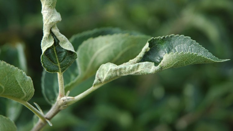
Echter Mehltau, Apfel [Podosphaera leucotricha]

Echter Mehltau, Apfel

Aussehen / Schadbild

Blätter und Triebspitzen mit mehlig- weißem, später grau-grünem Myzelbelag bedeckt. Blätter steil nach oben gerichtet und gerollt. Frühzeitiger Blattfall führt zur Verkahlung der Triebe.

Auftreten

Der Pilz überwintert in den Triebspitzen und infiziert von dort die neu gebildeten Blätter und Blüten. Bei dem sichtbaren Myzelbelag handelt es sich um die Sekundärinfektion im Sommer. Regen hemmt die Pilzentwicklung.

Bedeutung

Mehltau zählt v.a. in trockenen, warmen Gebieten zu den wichtigsten Krankheiten im Obstanbau. Bei starkem Befall muß mit Ertragsverlusten von 40% und mehr gerechnet werden.

Vorbeugung / Bekämpfung

Die Kombination von mech. und chem. Maßnahmen ist am wirkungsvollsten. Befallene Triebe sind kontinuierlich auszuschneiden. Beim Auftreten der ersten Symptome sind mehrere Fungizidspritzungen durchzuführen.

Oben